
💔 灾难实况
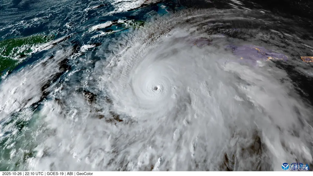
➊ 史上最强风暴
-
持续风速达175英里/小时,体型比牙买加国土更长
-
预计带来3英尺暴雨+13英尺风暴潮,洪灾与孤立成最大威胁
➋ 绝望撤离令
总理霍尔尼斯坦言:“没有任何基础设施能承受5级飓风”
红十字会警告:150万人将直面冲击,屋顶掀飞、道路中断恐成现实
➌ 生命已逝去
加勒比地区至少7人遇难(牙买加3人/海地3人/多米尼加1人)
专家沉痛宣告:“这将是牙买加本世纪最黑暗的自然灾难”
🌪️ 现场直击
-
飓风眼盘旋画面如末日降临
-
民众抢购物资、加固门窗,社交媒体弥漫焦虑
-
国际救援组织紧急部署,但恶劣天气恐阻碍行动
评论 ()